Las Vegas – Salt Lake City – Part 1
411/11/2014 par Stephane
LAS VEGAS – SALT LAKE CITY
Aujourd’hui, je vais vous présenter un vol que nous allons effectuer entre Las Vegas et Salt Lake city avec la compagnie Southwest Airlines (SWA). Ceci est basé sur un vol réel.
Je vais scinder ce vol en 2 parties, une première partie concernant la préparation et le briefing d’avant vol. Une deuxième partie à bord de notre avion pour effectuer le vol.
LAS VEGAS
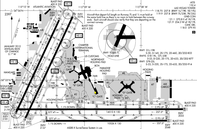
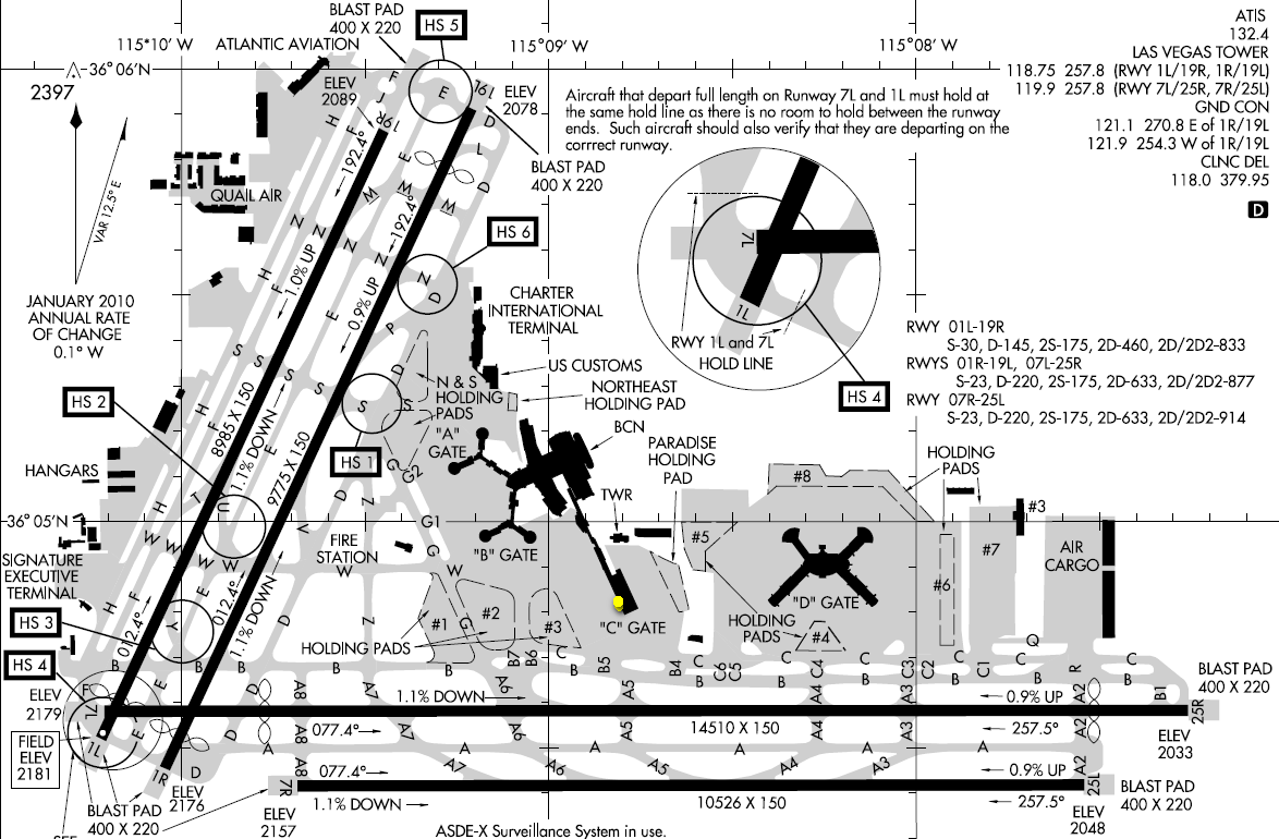
En regardant sur le site de l’aéroport de Las Vegas, on peut voir que SWA effectue un départ à 09:10 depuis la porte C14 du terminal 1

Plan du T1, on repère notre porte C
Plan du T1, portes C, on repère la porte C14 de notre avion
Sur le diagramme de l’aéroport, j’ai identifié notre position en jaune
SALT LAKE CITY
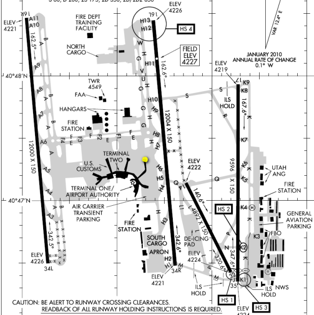
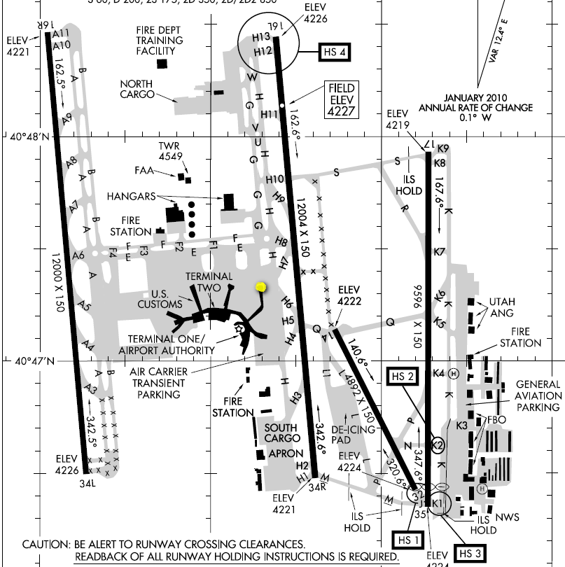
En se connectant sur le site de l’aéroport de Salt Lake City, on voit que notre arrivée est prévue à 11:30 en porte B20
Arriving From Scheduled Time Flight # Status Gate
Las Vegas 11:30 am WN2078 On Time B20
On repère notre porte B20 qui se trouve au niveau du terminal 1
Vue détaillée du T1
Position en jaune sur le diagramme de l’aéroport
Preparation – Plan de vol
Météo à Las Vegas
METAR KLAS 061556Z 20006KT 10SM CLR 17/00 A3031 RMK AO2 SLP253 T01670000
Le METAR est à la date du 6 du mois courant (novembre) à 15h56 zulu time (Las Vegas est a GMT-8 soit 7h56 heure locale), vitesse moyenne de 6 noeuds au cap 200°, la visibilité est de 10 miles (SM: statue miles) soit environ 16km. Aucun nuage sous 12.000 pieds (CLR). La température est de 17° avec un point de rosée à 0°. Pression de 30.31Hg, soit 1026Hpa. Je ne tiens pas compte des remarques (RMK) qui suivent.
TAF:
FT KLAS 061449Z 0615/0712 VRB04KT P6SM FEW250
FM061900 06006KT P6SM FEW250
FM070300 22007KT P6SM SKC
Le TAF a été émis le 06 à 14h49Z (6h49 heure locale) et est valable de 15h00Z (7h00 locale) au 7 à 12:00Z (soit le 6 à 16h00 locale). Vent variable en direction, vitesse moyenne de 4 noeuds. Visibilité supérieure à 6 miles, nuages rares 25.000 pieds.
A partir de 19h00Z(11h00 locale), vitesse moyenne de 6 noeuds au 060°, visibilité supérieure à 6 miles, nuages rares 25000 pieds.
A partir du 7 à 03h00Z(le 6 à 19h00 locale), vitesse moyenne de 7 noeuds au 220°, visibilité supérieure à 6 miles, ciel clair.
Météo à Salt Lake City
METAR
KSLC 061553Z 12007KT 10SM SCT200 07/01 A3044 RMK AO2 SLP305 T00720006
Le METAR est à la date du 6 du mois courant (novembre) à 15h53 zulu time (Salt Lake est a GMT-7 soit 8h53 heure locale), vitesse moyenne de 7 noeuds au 120°, la visibilité est de 10 miles (SM: statue miles) soit environ 16km. Nuages épars, 20.000 pieds. La température est de 7° avec un point de rosée à 1°. Pression de 30.44Hg, soit 1030Hpa.
TAF
KSLC 061510Z 0615/0718 16007KT P6SM SCT200
FM061900 34007KT P6SM BKN200
FM070300 14007KT P6SM SCT200
Le TAF a été émis le 06 à 15h10Z (8h10 heure locale) et est valable du 6 15h00Z (8h00 locale) au 7 à 18:00Z (11h00 locale). Vent, vitesse moyenne de 7 noeuds au 160°. Visibilité supérieure à 6 miles, nuages épars 20.000 pieds.
A partir de 19h00Z(12h00 locale), vitesse moyenne de 7 noeuds au 340°, visibilité supérieure à 6 miles, nuages fragmentés 20.000 pieds.
A partir du 7 à 03h00Z(le 6 à 20h00 locale), vitesse moyenne de 7 noeuds au 140°, visibilité supérieure à 6 miles, nuages épars, 20.000 pieds.
Le plan de vol a été créé avec PFPX et TOPCAT.
La distance de notre vol est de 407NM avec un niveau de vol de 33.000 pieds
Nous avons un départ prévu depuis la piste 25R
Notre aéroport alternatif est KU42 – South Valley Regional Airport, situé à 25NM.
Nous embarquons ajourd’hui avec 134 passagers et notre ZFW est de 52320Kgs.
PFPX nous propose par défaut d’atterrir sur la piste 35, à priori nous devrions avec la STAR DELAT3 nous devrions avoir un atterrissage en 16L qui est plus appropriée et plus près de notre porte de destination.
Le TOW et LDW sont en dessous des limites, tout est ok.
Nous decollerons avec les volets à 5 avec reduction Take-off TO-1
Les vitesses fournies par Topcat nous sont données à titre indicatif, nous verrons ce que nous propose Prosim lors de la programmation du FMC.
Au niveau carburant nous embarquerons avec 6394Kgs, j’ai ajouté 30mns extra de carburant, les calculs de Topcat n’étant pas tout à fait les même que ceux de Prosim.
Voyons maintenant la route qui nous est proposée: STAAV5 MLF DCT DTA DELTA3
A priori nous aurions la SID STAAV5 au départ de la 25R. On repére bien les restrictions des altitutes et également de vitesse. On voit ici que jusque point BATIS nous ne devons pas dépasser les 220kts.
Nous sortons de la SID via MLF pour ensuite prendre DCT puis DTA.
La STAR sera DELTA3.
On peut remarquer qu’aussitôt sorti de la SID nous commencons la STAR avec Milford comme intersection.
Notre plan de vol détaillé
Voilà pour le briefing d’avant vol, je vous donne rendez-vous dans une deuxième partie à bord de notre 737NG de Southwest Arlines pour notre vol à destination de Salt Lake City.














J’ai raté plusieurs épisodes, il faut que je me rattrape. Cette première partie est très intéressante. J’apprends des choses, même si la plupart des photos et les trucs techniques de vol ne me disent pas grand chose. En attendant la 2m étape, je vais lire les autres articles que j’ai manqué.
Merci de suivre mon blog et mes aventures. Le récit et les photos du vol viendront prochainement.
Salut Stephane, ça fait un petit moment que je suis la fabrication de ton simulateur (depuis air cockpit). Et je vois que les choses ont bien avancé depuis… Bravo il est vraiment magnifique ! Je suis également dans l’est de la France…en ce moment je fini ma qualification de vol aux instruments (la partie simu) sur un simulateur FNPT II, modèle ALX, avec un Aspen EFD1000, et justement si l’occasion se présente pourquoi ne pas faire un vol ensemble en 737 🙂 (je pense m’orienter sur BBJ par la suite). Je te laisse mon email tangozulu@hotmail.fr
Bons vols flightevasion
On verra cela en live lorsqu’on nous passerons. Je vois que tu as déjà bien avancé.